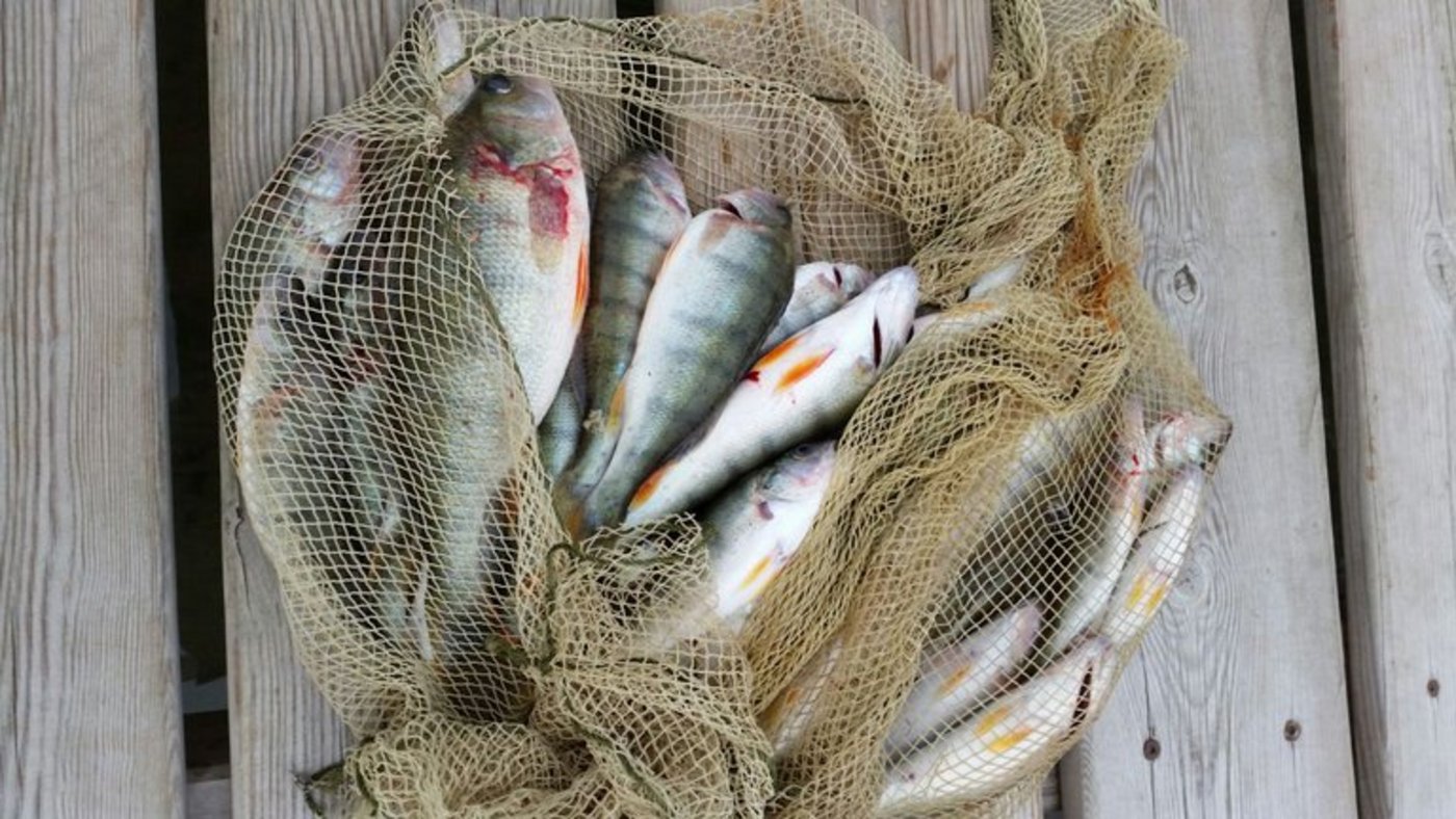
90 Prozent der gefangenen Fische waren Eglis oder Felchen, wie die SDA zu einer Meldung der Kantone Wallis und Waadt schreibt. Mit 1'300 Tonnen gehört das Jahr 2014 zu den 3 besten Jahren seit dem Rekordjahr 1975. Bei den Felchen wurde mit 976 Tonnen sogar ein neuer Rekordwert erzielt. Leicht gestiegen sind auch die Fänge von Seeforellen und Seesaibling. Die internationale Genfersee-Fischereikommission führt die guten Fänge u.a. auf Revitalisierungsmassnahmen zurück.

94 Prozent aller Fänge entfielen auf Berufsfischer, der Rest auf Hobbyfischer.

lid